Description
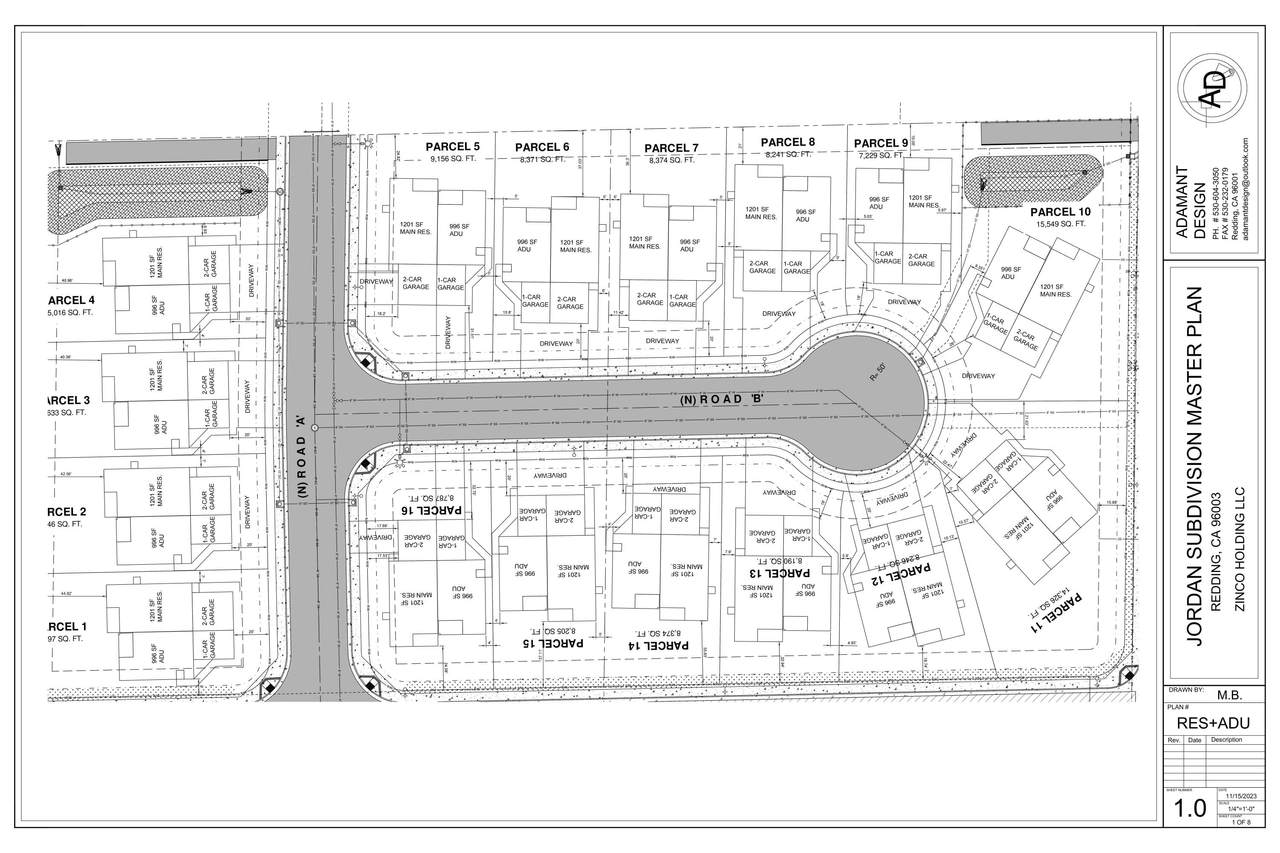
Builder/Developer Opportunity - 32 Doors | Jordan Lane Subdivision Exceptional shovel-ready residential development opportunity on Jordan Lane in west Redding. The Tentative Subdivision Map (Application 2022-02416 - Zinco Subdivision) has been approved to subdivide two parcels (3150 & 3250 Jordan Lane) into 16 parcels, with rezoning (RZ-2024-00156) and Master Plan in process under 2022 Building Code standards. Site construction plans are approximately 85% complete and nearing submittal, significantly reducing entitlement timeline and upfront risk. The approved product design features single-family residences with attached ADUs -- each parcel planned for: • Main home: 3 bed, 2 bath, 2-car garage • Attached ADU: 2 bed, 1.5 bath, 1-car garage Total projected build-out: 32 income-producing doors. Ideal for a build-to-hold strategy, portfolio expansion, or phased development. A construction loan is already in place with Plumas Bank, supported by a completed April 2024 appraisal. The bank has indicated willingness to transfer the loan to a qualified buyer, creating a rare opportunity to step into an established financing structure. Seller is reallocating focus to other large-scale projects, creating an opportunity for the next developer to capitalize on extensive planning, approvals, and forward progress already achieved. Comprehensive permit package, subdivision approval documentation, and master plan available for review. Offering this project for $825,000.00
-
0BEDS
-
4.42ACRES
-
0BATHS
-
01/2 BATHS
School Ratings & Info
Description
Builder/Developer Opportunity - 32 Doors | Jordan Lane Subdivision Exceptional shovel-ready residential development opportunity on Jordan Lane in west Redding. The Tentative Subdivision Map (Application 2022-02416 - Zinco Subdivision) has been approved to subdivide two parcels (3150 & 3250 Jordan Lane) into 16 parcels, with rezoning (RZ-2024-00156) and Master Plan in process under 2022 Building Code standards. Site construction plans are approximately 85% complete and nearing submittal, significantly reducing entitlement timeline and upfront risk. The approved product design features single-family residences with attached ADUs -- each parcel planned for: • Main home: 3 bed, 2 bath, 2-car garage • Attached ADU: 2 bed, 1.5 bath, 1-car garage Total projected build-out: 32 income-producing doors. Ideal for a build-to-hold strategy, portfolio expansion, or phased development. A construction loan is already in place with Plumas Bank, supported by a completed April 2024 appraisal. The bank has indicated willingness to transfer the loan to a qualified buyer, creating a rare opportunity to step into an established financing structure. Seller is reallocating focus to other large-scale projects, creating an opportunity for the next developer to capitalize on extensive planning, approvals, and forward progress already achieved. Comprehensive permit package, subdivision approval documentation, and master plan available for review. Offering this project for $825,000.00
IDX information © 2026 Shasta Association of Realtors MLS. Information provided is for consumers' personal, non-commercial use and may not be used for any purpose other than to identify prospective properties consumers may be interested in purchasing. All data, including all measurements and calculations of area, is obtained from various sources and has not been, and will not be, verified by broker or MLS. All information should be independently reviewed and verified for accuracy. Properties may or may not be listed by the office/agent presenting the information. Data last updated: 2026-03-16T23:58:14.32.
Licensed in the State of California.
